Szója – egy nélkülözhetetlen növény kihívásai 1. rész
A szója (Glycine max) az egyik legfontosabb fehérje- és olajnövényünk, termesztése azonban számos kórokozó miatt kihívásokkal jár. Vírusok, gombák és baktériumok egyaránt megtámadhatják a szóját, súlyos fertőzés esetén jelentős terméskiesést okozva. Cikksorozatunkban áttekintjük a szójatermesztés során előforduló főbb vírusos, gombás és baktériumos betegségeket (latin nevükkel), kitérve a klímaváltozás miatti új vagy súlyosbodó problémákra, valamint a gyakorlati védekezési javaslatokra, amelyekkel a gazdálkodók mérsékelhetik a károkat.

Vírusos betegségek ellen a megelőzés a kulcs
Bár a szója vírusbetegségei kevésbé ismertek, mint a gombás betegségek, a vírusfertőzések is komoly károkat okozhatnak. Vírusfertőzésnél gyakori tünet a mozaikos vagy foltos elszíneződés, torzuló levelek, növekedési visszamaradás és csökkent hüvely- és magképzés.
Fontosabb vírusosbetegségek
Szója-mozaikvírus (Soybean mosaic virus, SMV)
A világon mindenütt előforduló vírus, amely súlyos esetben akár 50%-os termésveszteséget is okozhat. A Potyviridae családba tartozó kórokozó levéltetvekkel (nem perzisztens módon) és fertőzött maggal terjed. A leveleken mozaikos sárga-zöld foltokat és torzulást idéz elő, a hüvelyek torzulhatnak, a magvak elszíneződhetnek. Védekezés: rezisztens fajták vetése, egészséges, vírusmentes vetőmag használata és a levéltetvek elleni védelem (rovarölő kezelés szükség esetén)Bab-hüvelytarkulásvírus (Bean pod mottle virus, BPMV) Az USA-ban az egyik leggyakoribb szójavírus, egyes területeken a fertőzöttség 66%-ot is elérhet. Koinfekcióban gyakran együtt fordul elő a szója-mozaikvírussal, és 3–52% terméscsökkenést idézhet elő, rontva a szemtermés minőségét is. A Comovirus nemzetségbe tartozó vírust levélbogarak terjesztik (pl. Cerotoma trifurcata és más fajok). Tünetei a leveleken tarkulás (foltosodás) és sárgászöld foltok, a fertőzött magvak felületén elszíneződés.
Védekezés: ellenálló fajták használata, a levélbogarak elleni hatékony védekezés már a szója korai (szikleveles) állapotától.
Szója-érnekrózisvírus (Soybean vein necrosis virus, SVNV)
Viszonylag új betegség, csak 2008-ban írták le először (USA, Tennessee). Azóta az Egyesült Államok számos államában elterjedt, Európában is számítani lehet rá a jövőben. A Tospoviridae családba tartozó vírus, amelyet tripszek terjesztenek. A leveleken először sárgulást, majd az erek mentén elhalást (necrosis) okoz, súlyos fertőzésnél a levelek elszáradnak és lehullanak.
Védekezés: mivel új kórokozóról van szó, fontos a megelőzés – fertőzött állományból ne fogjunk vetőmagot, figyeljük a tripszpopulációkat, szükség esetén védekezzünk ellenük, és válaszszunk ellenálló fajtákat, ha rendelkezésre állnak.
Lucerna-mozaikvírus (Alfalfa mosaic virus, AMV)
Polifág vírus, amely sok növényfajon előfordul világszerte. Szójában is okozhat mozaikos, sárga foltos leveleket, bár általában zöldségnövényeken jelent nagyobb problémát. Levéltetvek terjesztik.
Általános védekezési tanácsok vírusok ellen
Mivel vírusok ellen közvetlen kezelés nincs, a megelőzés kulcsfontosságú. Vetéshez csak minősített magot használjunk, és részesítsük előnyben a vírusrezisztens fajtákat. Irtsuk a szója körüli gyomokat, melyek esetlegesen rezervoárként szolgálhatnak. Vektorok elleni védelem: szükség esetén időzített rovarölő szeres kezeléssel ritkítsuk a levéltetveket, tripszeket, takácsatkákat vagy egyéb terjesztő rovarokat. Ügyeljünk a vetésforgóra is – bár a vírus a talajban nem él meg, a vetésváltás segíthet megszakítani a fertőzési láncot (pl. vadon kelő szójanövények és fertőzött növénymaradványok eltávolításával).
A szója gombabetegségei okozzák a legtöbb problémát a termesztésben
A kórokozó gombák egy része a talajban él, és onnan fertőz (gyökér- és szárrothadások), mások a leveleket, hüvelyeket támadják (levélfoltosságok, szárbetegségek). A gombák szaporítóképletei gyakran a fertőzött növénymaradványokban vagy a talajban telelnek át, ahonnan a következő évi állományt újra megfertőzhetik. A nedves, párás mikroklíma kedvez a legtöbb gombás betegségnek, de vannak kivételek, melyek forró, száraz körülmények között terjednek jobban. Íme, néhány jelentősebb gombabetegség:Fitoftórás gyökér- és szárrothadás (Phytophthora sojae) Talajban terjedő álgomba (oomikóta), amely különösen kötött, vízzel telített talajokon okoz súlyos károkat. A Phytophthora a mérsékelt, kb. 20–30 °C hőmérsékletet és a nedves talajt kedveli. Már a kelés időszakában fertőzhet: a magok, csíranövények rothadnak és elpusztulnak (dőlés – damping-off). Később a fertőzés a gyökeret és a szár alsó részét támadja, a talajfelszíntől felfelé terjedő csokoládébarna szárfolt alakul ki. A növény lankad, hervad, súlyos esetben elhal.
Védekezés: a leghatásosabb a rezisztens (Rps-génekkel rendelkező) fajták vetése, melyek ellenállnak a ‑toftórának. Emellett fontos a talaj vízelvezetésének javítása (pl. drénezés), a pangó víz elkerülése. Vetés előtt a vetőmagcsávázás (metalaxil vagy hasonló hatóanyaggal) mérsékelheti a fertőzést. Kerüljük a szója túl gyakori visszavetését ugyanarra a táblára (vetésforgó), mert a talajban hosszú ideig fennmaradó oospórák miatt a fertőzés felhalmozódhat.

Szójarozsda (Phakopsora pachyrhizi)
Világszerte az egyik legrettegettebb szójabetegség, kezelés nélkül súlyos lombvesztést és terméskiesést okozhat. Az ázsiai szójarozsda kórokozója egy obligát parazita rozsdagomba, amely meleg (20–30 °C) és magas páratartalmú (>75%) körülmények között fertőz a legintenzívebben. Tünetei: a levelek színén apró, halványzöld vagy barnás foltok, fonákján pedig szabad szemmel alig látható narancsbarna, domború uredotelepek (rozsda pöttyök) jelennek meg. A fertőzés a levelek sárgulásához, idő előtti lehullásához vezet, ami akadályozza a szemek kifejlődését. Magyarországon eddig nem okozott járványt, de déli területekről spórák behurcolásával és enyhébb telek esetén potenciálisan megjelenhet.
Védekezés: léteznek rezisztens vagy toleráns fajták – ahol elérhetők, érdemes ezeket választani a rozsda sújtotta régiókban. A szójaültetvények rendszeres meg‑gyelése kulcsfontosságú: a levélfonák alján lévő gyanús pöttyök korai felismerése lehetővé teszi az azonnali beavatkozást. szükség esetén időben gombaölő szeres kezelést kell alkalmazni (a helyi ajánlásoknak megfelelően, pl. triazol vagy strobilurintípusú gombaölő szerekkel) a fertőzés megfékezésére. A kiegyensúlyozott tápanyagellátás és megfelelő tőszám biztosításával a növényállomány ellenállóbb lehet a fertőzéssel szemben.
Fuzáriumos hervadás (Fusarium oxysporum f. sp. tracheiphilum)
Talajlakó gomba, amely a szója edénynyalábjait fertőzve hervadást okoz. Meleg (24–29 °C) időben fejlődik a legjobban, tipikusan a nyár közepén jelentkezhet a fertőzés első jeleként a növények hervadása, sárgulása. A szár keresztmetszetében barna elszíneződés látható az edénynyalábokban, jelezve a vezető edények eltömődését.
Védekezés: vetésváltás betartása (ne vessük túl sűrűn egymás után a szóját ugyanoda), valamint fertőzés esetén a maradványok mély aláforgatása. Sajnos speci‑kus rezisztens fajták nincsenek minden esetben, de a jó általános ellenálló képességű, erős növekedésű fajták kevésbé károsodnak. A megfelelő vetőmag használata (magas csírázóképességű, erős csíranövényeket adó mag) segít, hogy a fiatal növények gyorsan növekedjenek, és elkerüljék a hosszan nedves talajt.
Szója hirtelen halál szindróma (Sudden Death Syndrome, SDS – Fusarium virguliforme)
A Fusarium egy másik faja által okozott komplex betegség, amely korai fertőzés nyomán a tenyészidő későbbi szakaszában idéz elő tüneteket. Hűvös, nedves talajban, főként a fiatal szójanövények gyökerét támadja meg, de a látványos tünetek csak virágzás után jelentkeznek: a levelek erek közötti sárgulása, majd barnulása jelenik meg, miközben az erek zöldek maradhatnak. A súlyosan fertőzött növények levelei lehullanak (a levélnyelek sokszor a száron maradnak), a növény idő előtt elhal. A szár tövén barnás elszíneződés figyelhető meg, a gyökérzet pedig rothad.
Védekezés: használjunk a betegségre kevésbé fogékony fajtákat, illetve késleltessük a vetést addig, amíg a talaj megfelelően fel nem melegszik (ne vessünk hűvös, nedves talajba). Ügyeljünk a jó talajvíz-elvezetésre és a talajtömörödés csökkentésére, mert a pangó víz és levegőtlen talaj fokozza az SDS kockázatát. Megfontolandó a vetőmag gombaölő csávázása is, ami védelmet nyújthat a korai fertőzés ellen.
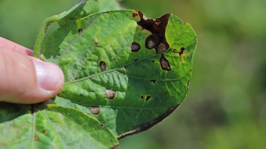
Cerkospórás levélfoltosság (Cercospora sojina)
Meleg, párás időben gyakori levélbetegség, melyet a Cercospora nemzetség gombája okoz. Kezdetben kisebb, sötétbarna foltok jelennek meg a leveleken, melyek közepe később szürkésre fakul, szélüket pedig vöröses-lila udvar szegélyezheti. A foltok „békalábszerű”mintázatot is ölthetnek (ezért angol neve „frog-eye leaf spot”). Erős fertőzésnél a foltok összefolyhatnak, a levél nagy része elhal, és idő előtt lehullik, így csökkentve a növény asszimilációs felületét. A kórokozó a fertőzött növénymaradványokon és vetőmagokon is áttelelhet.
Védekezés: ne termesszünk több éven át szóját ugyanazon a területen, inkább gabonafélékkel váltsuk (a kórokozó speciális szójakártevő). A betakarítás után a tarlót szántsuk be, forgassuk alá a fertőzött maradványokat, vagy távolítsuk el, és semmisítsük meg. Csak egészséges, csávázott vetőmagot vessünk, hogy a maggal terjedő inokulumot kiiktassuk. Szükség esetén fungicides permetezés is szóba jöhet a vegetációban, különösen, ha korán megjelennek a tünetek, és az időjárás továbbra is kedvező a betegségnek.

Lisztharmat (Erysiphe diffusa)
A szója lisztharmata a levelek színén megjelenő fehéres porbevonatról ismerhető fel. Általában a nyár végi, kora őszi időszakban üti fel a fejét, amikor a meleg napokat hűvösebb éjszakák, magas páratartalom és harmatképződés követi. A sűrű, zárt lombkorona hajlamosít rá, mert a gyenge légmozgás kedvez a gomba terjedésének. Súlyos fertőzés legyengítheti a növényeket, bár önmagában ritkán okoz jelentős terméskiesést.
Védekezés: a vetésváltás és a megfelelő vetéstávolság segít megelőzni, hogy a kórokozó felhalmozódjon, és a növényállomány túlzottan zárt legyen. Ha mégis megjelent, és erős a fertőzés, alkalmazzunk a lisztharmat ellen engedélyezett gombaölő szert az ajánlott időzítéssel és dózisban. Kerüljük a szükségtelen felső öntözést és a túlöntözést, hogy a lomb ne legyen tartósan nedves.
Szója-peronoszpóra (Peronospora manshurica)
A szója legelterjedtebb betegségei közé tartozik, Magyarországon 1958 óta ismert. Kórokozója egy peronoszpóragomba, amely nedves, páradús körülmények között terjed. Tünetei: a levelek fonákján szürkés-lila penészbevonat (sporangiumtartó gyep), a levelek színén pedig sárgászöld, mozaikos foltok láthatók. A fertőzés a hüvelyekre is átterjedhet, a magok is megbetegednek, melyek így elszíneződnek, és gyengén csíráznak. Erős fellépése esetén is viszonylag kisebb, 6-8%-os termésveszteséget okoz általában, de mivel nagyon gyakori, a termésminőséget ronthatja.
Védekezés: használjunk peronoszpórával szemben toleráns vagy ellenálló fajtákat, ha elérhetőek. A csávázás (kontakt fungiciddel) csökkenti a mag felületi fertőzöttségét. A vetésforgó is segít, mert a talajban kitartó oospórák száma így mérsékelhető. Szója-peronoszpóra esetén általában nincs szükség külön fungicides védekezésre, elég a megelőzés és a toleráns fajták alkalmazása.
Fehérpenészes szárrothadás (Sclerotinia sclerotiorum)
Számos kétszikű növényfajt megbetegítő gomba, amely szójanövényen is megtelepszik. Hűvös (20 °C körüli), párás időben, főleg virágzás idején fertőz: a szár alsó és középső részén vizes foltok alakulnak ki, majd fehér, vattaszerű gombabevonat jelenik meg. Később feketés kemény képletek, szkleróciumok fejlődnek a száron, illetve a száron belül. A fertőzött növények hervadnak, száruk elkorhad, megdőlhetnek. A szkleróciumok a talajban évekig túlélnek, így a betegség fennmarad a területen.
Védekezés: kerüljük a szója-monokultúrát, iktassunk be többéves forgót nem gazdanövényekkel (gabona, kukorica stb.). Aratás után a fertőzött maradványokat távolítsuk el vagy szántsuk be mélyen, hogy a szkleróciumok ne maradjanak a felszínen. Nagyon fogékony fajták esetén és fertőzésre hajlamos területeken szóba jöhet a virágzáskori preventív gombaölő szeres permetezés (például boszkalid vagy prokloráz hatóanyaggal), de ennek hatékonysága függ az időjárástól és a fertőzési nyomástól. Léteznek biológiai készítmények is (pl. Coniothyrium gombaalapú), amelyek a talajba juttatva képesek a szkleróciumokat lebontani, csökkentve a fertőzési forrást a következő évekre.
Hamuszürke szárkorhadás (Macrophomina phaseolina)
A klímaváltozással egyre nagyobb figyelmet érdemlő betegség. Hosszú, aszályos időszakok kedveznek ennek a trópusi-szubtrópusi eredetű gombának, amely az utóbbi években hazánkban is megjelent szójatáblákon. A kórokozó a talajban és fertőzött növénymaradványokban micéliummal vagy apró szkleróciumokkal telel át, és meleg, száraz körülmények között fertőz. Már a fiatal növényeket megtámadhatja, de a tünetek általában későn, a nyár második felében válnak feltűnővé: a fertőzött szójanövény hervadni kezd, levelei lankadnak, majd elszáradnak. A szár tövén és belsejében jellegzetes hamuszürke elszíneződés figyelhető meg, a szár bélszövete összezsugorodik, és tele van apró, fekete pontokkal (mikroszkleróciumok) – mintha mákkal szórták volna tele. A betegség neve is innen, a szürke szárrészről ered.
Védekezés: kémiai védekezés jelenleg nem megoldható ellene. Fontos a megelőzés: a vetésforgó betartása, hogy a talajban csökkenjen a szkleróciumok száma, valamint a tarlómaradványok kezelése (mélyszántás, aprítás). Kísérletek folynak biológiai védekezéssel is: bizonyos antagonista talajgombák (pl. Trichoderma asperellum) alkalmazásával igyekeznek gyéríteni a kórokozó szkleróciumait, mérsékelve a fertőzést. Agronómiai szempontból törekedni kell az egészséges, erős növényállomány nevelésére – a kiegyensúlyozott tápanyag-ellátottságú, jól gyökeresedő növények kevésbé esnek áldozatul –, és ahol lehetséges, az öntözéssel csökkenteni a hosszú száraz periódusok stresszhatásait.

Egyéb gombás betegségek – megjegyzés
A felsoroltakon kívül léteznek egyéb gombás betegségek is (pl. antraknózis – Colletotrichum truncatum, amely a száron és hüvelyen okoz sötét foltokat vagy a diaportés szár- és hüvelyfoltosság – Diaporthe phaseolorum, ami a magot is fertőzheti). Ezek lokálisan okozhatnak gondot, de a fent tárgyalt kórokozók jelentik a főbb veszélyt a nagyüzemi szójában.
Előretekintés
Tudjuk, a szója sikeres termesztéséhez integrált növényvédelemre van szükség, amely több módszer kombinációjával tartja kordában a betegségeket. Cikksorozatunk következő részében a baktériumos betegségek és a klímaváltozás által okozott kihívások mellett az integrált növényvédelem fontosságára és a technológiai fortélyokra is ki fogunk térni.
SZERZŐ: SÁNDOR ILDIKÓ
Forrás: mezohir.hu
Képek forrása: canva.com


